Остров Нуса Пенида - младшая сестра Бали
Мы были на острове Нуса Пенида в конце сентября 2015 года, пять дней. Остров Нуса Пенида, к востоку от Бали - самый большой в группе из трёх островов, куда входят ещё Нуса Лембонган и Нуса Ченинган. Однако даже Нуса Пенида по сравнению с Бали совсем небольшая! До Нуса Пениды легко добраться: бюджетный вариант - это паром от порта Паданг Бэй (Бали), который ходит раз в день, в 12.00, и идёт час. Также, существует множество коммерческих лодок - спид-ботов - идущих от Санура и других пляжей, цена на которые может варьироваться.
Нуса Пенида - суше и холмистее, чем Бали. Пребывание на ней может превратиться в настоящее приключение, так как отелей тут меньше десятка, а в основном к услугам туристов гестхаусы и варунги, ориентированные на индонезийцев-паломников. На острове находятся несколько важных для индуистов храмов, где проводятся регулярные церемонии. Туристов тоже пускают, но важно быть подобающе одетым (саронги, закрытые плечи, забранные волосы), и соблюдать церемонию. Кроме того, на остров стоит поехать за снорклингом - у берега он очень хорош в бухте Кристал Бэй, только вода холодновата. А самая интересная "фишка" Пениды - это плавание с мантами, большими безобидными скатами. Они регулярно ловят планктон в двух бухтах, которое так и называются - Манта Пойнт. Их отлично видео и в масках для снорклинга, а впечатления от этого плавания незабываемые!

Один из лучших пляжей острова - Тояпаке - целиком занят водорослевыми фермами и лодками

Водорослевые фермы занимают большую часть побережья - это основная статья доходов острова, похоже

Сушка водорослей на берегу

Сборщик водорослей несёт свой "улов"

Церемониальное шествие в Тояпаке

Храмы на Нуса Пениде белят, смотрится очень красиво!

Храм Пура Сааб, или Обезьяний храм

Пляж Кристал Бэй

Рыбы-бабочки

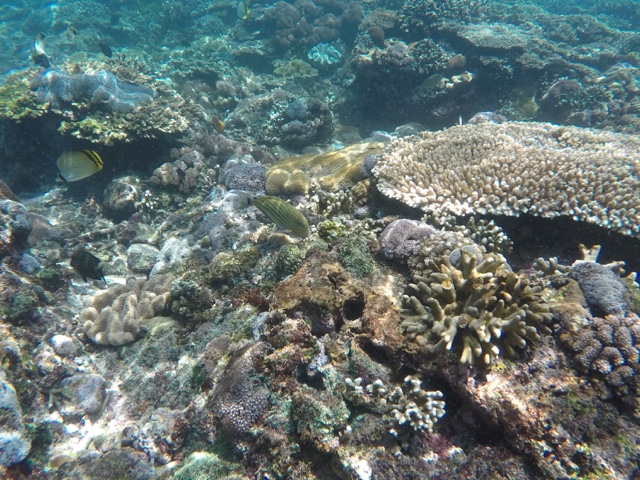
Подводный мир Нуса Пениды

Удивительный коралл

Плавание с мантами очень популярно

Но они того стоят! Это почти 2-метровая махина, летящая в воде

Даже страшновато - хотя они не опасны :)

Паром с Нуса Пениды - я бы с радостью вернулась сюда :)
Нуса Пенида - суше и холмистее, чем Бали. Пребывание на ней может превратиться в настоящее приключение, так как отелей тут меньше десятка, а в основном к услугам туристов гестхаусы и варунги, ориентированные на индонезийцев-паломников. На острове находятся несколько важных для индуистов храмов, где проводятся регулярные церемонии. Туристов тоже пускают, но важно быть подобающе одетым (саронги, закрытые плечи, забранные волосы), и соблюдать церемонию. Кроме того, на остров стоит поехать за снорклингом - у берега он очень хорош в бухте Кристал Бэй, только вода холодновата. А самая интересная "фишка" Пениды - это плавание с мантами, большими безобидными скатами. Они регулярно ловят планктон в двух бухтах, которое так и называются - Манта Пойнт. Их отлично видео и в масках для снорклинга, а впечатления от этого плавания незабываемые!

Один из лучших пляжей острова - Тояпаке - целиком занят водорослевыми фермами и лодками

Водорослевые фермы занимают большую часть побережья - это основная статья доходов острова, похоже

Сушка водорослей на берегу

Сборщик водорослей несёт свой "улов"

Церемониальное шествие в Тояпаке

Храмы на Нуса Пениде белят, смотрится очень красиво!

Храм Пура Сааб, или Обезьяний храм

Пляж Кристал Бэй

Рыбы-бабочки

Подводный мир Нуса Пениды

Удивительный коралл

Плавание с мантами очень популярно

Но они того стоят! Это почти 2-метровая махина, летящая в воде

Даже страшновато - хотя они не опасны :)

Паром с Нуса Пениды - я бы с радостью вернулась сюда :)
Читайте также













